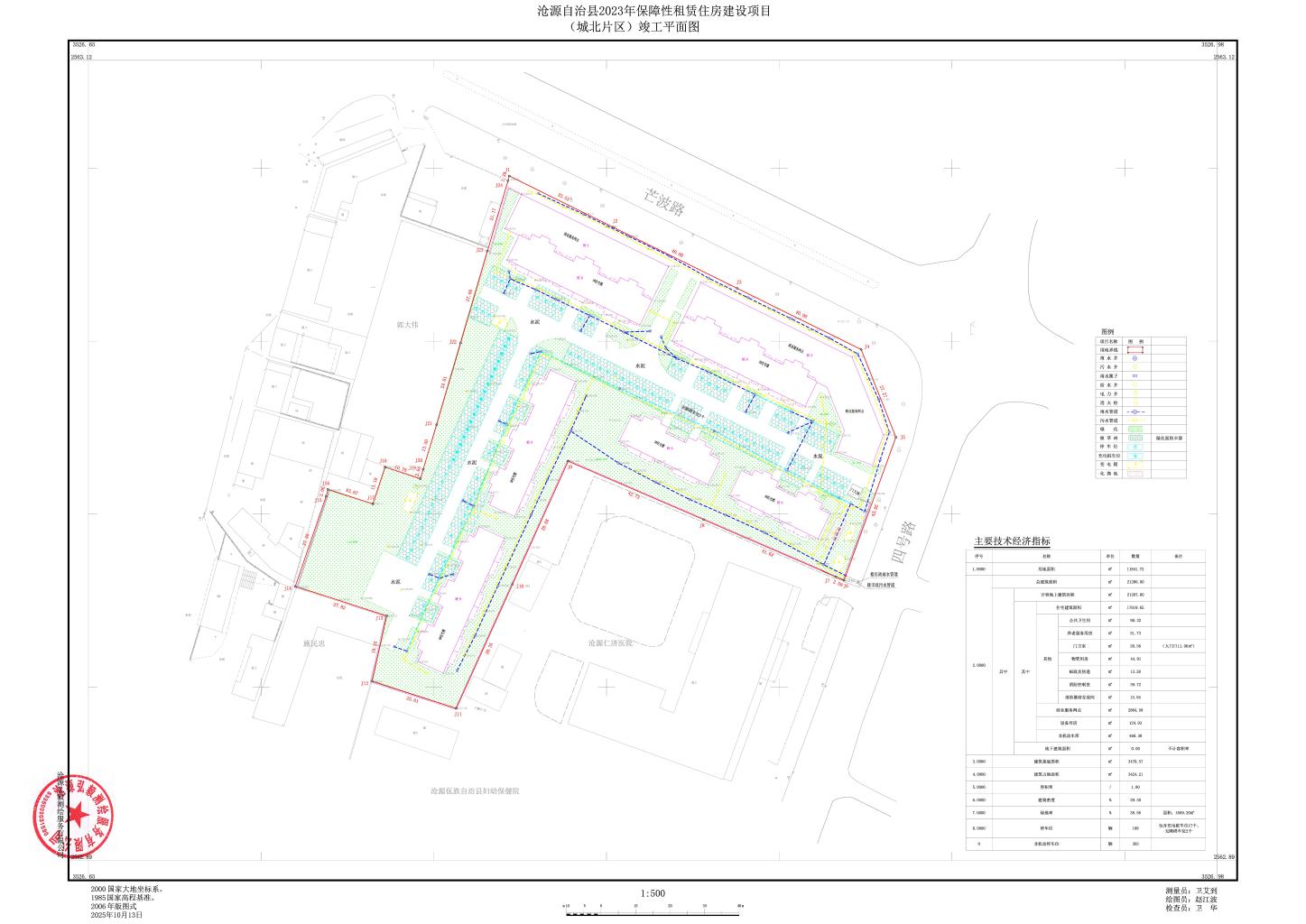
项目名称 | 沧源自治县2023年保障性租赁住房建设项目(城北片区) |
类型 | 批前公示 |
公示类别 | 建设工程规划核实意见 |
建设单位 | 沧源县晟乾建设投资有限公司 |
用地位置 | 沧源县勐董镇四号路仁济医院旁 |
主要经济技术指标 | 总用地面积 :11841.72㎡;总建筑面积 :21286.00㎡;建筑占地面积:3424.21㎡;绿地面积4569.20㎡,绿地率38.59%,容积率1.80,建筑密度29.30%,建筑高度26.40米,机动车停车位109个,非机动车停车位303个。 |
公示期限 | 7个工作日(2026年1月19日 至2026年1月27 日) |
联系电话 | 0883-7126375 |
联系邮箱 | cyxgtjghg@163.com |
说明 | 1.书面反馈(申请)意见发表时间或邮戳日不应超过公示期的最后一天24:00前,逾期视为无效意见。2.书面意见应注明真实联系人姓名、联系方式。3.信件寄往沧源县勐董镇广场路49号县自然资源局(请注明“公示通告”字样)。 |
公示网址 | |
附件 | 沧源自治县2023年保障性租赁住房建设项目(城北片区)竣工图、竣工建筑位置图、竣工建筑基地面积图、竣工绿化图 |
| |



